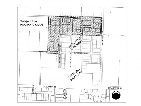
Frog Pond Ridge Subdivision
Development of a 71-lot single-family subdivision located on the west side of Stafford Road south of SW Frog Pond Lane.
Staff Contacts
Staff can be reached via telephone at 503-682-4960
- Cindy Luxhoj, AICP, Associate Planner
Planning
On October 5, 2020, upon second reading, the City Council adopted the ordinances concerning the Annexation and Zone Map Amendment related to this application. (see Notice of Decision)
Ordinance 842 (Annexation)
Ordinance 843 (Zone Map Amendment)
On August 31, 2020, the Development Review Board Panel A approved this application (See Notice of Decision), and forwarded to City Council a recommendation for adoption of the Annexation and the Zone Map Amendment related to this application. A City Council hearing for the Annexation and the Zone Map Amendment related to this application is scheduled for September 10, 2020.
Documents submitted for the August 31, 2020 DRB Special Meeting:
- Staff Report & Exhibits
- Exhibit A2 Staff PowerPoint Presentation
- Exhibit D1 Comments from Garet Prior
- Applicant PowerPoint Presentation
Documents submitted for the August 10, 2020 DRB hearing:
- Staff Report & Exhibits
- Exhibit B2, part 1 Narrative & Appendices A-C
- Exhibit B2, part 2 Appendices D-J
- Exhibit B3 Drawings & Plans
Status Updates
On August 31, 2020, the Development Review Board Panel A approved this application, and forwarded to City Council a recommendation for adoption of the Annexation and the Zone Map Amendment related to this application.
On October 5, 2020, upon second reading, the City Council adopted the ordinances concerning the Annexation and Zone Map Amendment related to this application.
